あっ!カンムリワシ!
シュノーケルツアーの送迎道中、
ご宿泊先から事務所へ向かう途中の出来事です♪

天然記念物のカンムリワシさんの登場です♪
最初は路上でたたずんでいましたが、
車が通過した後は、数メートル上の木の枝に。
近づいても逃げません♪
しっかり撮影を楽しんで、観察できちゃいましたっ!
とってもラッキーな遭遇でしたね!
いやぁ、今日はもう、これで満足!
なんておっしゃっています♪
いえいえ、これからが本番です!
鳥の次は、お魚さんを楽しみましょう!
ちなみに、場所はこちら、
ガイドブックにも載らない、隠れ家的観光スポットをご紹介。東シナ海を一望できるスポット
石垣島は海のお魚さんだけでなく、陸の生き物も楽しめますね!
それでは、海ブログです。
今日も変わらず日焼け日和の石垣島です!

やっぱり晴れた海が一番です!
今日も海を満喫、シュノーケル。
楽しんできましたっ!
本日の服装

TシャツでOKです。
午前のツアーにお越しは、リピーターMさんご夫婦です。

さぁ、ということで 幸先良いスタートを切った本日。
海に入る前に、カンムリワシさん鑑賞で、満足満足のMさんです!
海の方も絶好調、何か大当たりしそうな予感がしますね!
ちなみに、リクエストはありますか?
と伺ってみると、
マンタも見れそうだね!
とおっしゃっているMさんです!
笹川、今まで東海岸で泳いできて、
マンタにお会いしたことはありません!
もし、会うことができたら、それは
歴史的、ビックニュースです!
でも海はつながっていますからね!
100%ありえないとは言えません!
そのわくわく感をもって、海に入れるだけでも、
十分ですよね!
今日は特に引きが強いMさんです!
過去に出会ったことのある
大物ポイント狙っていきましょう!
まずは、一本目は パラオハマサンゴポイントへ!
断崖絶壁を楽しめる地形ポイントです!
過去に2回だけ、マンタ級に大きいマダラトビエイに遭遇したことがあります!
さぁ今日はどうでしょうか?
ボートを一気に走らせて、ポイントに到着です。
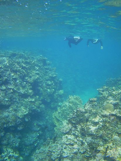
早速ドボンドボン、海に入っていきます。
すぐに顔をつけて泳ぎ始めて行きます!
まずは浅場の岩盤の上を突き進んでいきます!
チョウチョウウオが各種泳ぎ回っています♪
そして断崖絶壁の淵にはロクセンスズメダイがいっぱいです♪
それだけでなんだか満足してしまいそうですが、
さらに進むと、ナンヨウツバメウオが一匹クリーニングされていました!
さらに砂地にちょこんとお昼寝、サザナミフグさんの登場です。
かなり大きなサイズでしたね!
クロユリハゼのペアも近くで見ることができましたっ!
生き物大好きなMさん、じっくり観察しながら、
ゆったり泳ぎまわっていましたね!
そして断崖絶壁をすーいすいです♪

そして2本目も深場ポイントです!
バラフエダイの大きいサイズを探してコースを回って行きます!
断崖絶壁の通り道では、2Mサイズのネムリブカの登場です!
いつもMさんとご一緒すると思うことは、
魚へのアプローチの仕方がとてもうまいです
パワフルフィンキックで、バタバタで追いかけると、
すぐ逃げてしまうお魚さんですが、
Mさんはとっても静かにすーいすいと近づいていってます!
ネムリブカも焦って逃げる様子はなく、
目の前をぐーるぐると迂回してくれましたね!
そして本日リクエストのバラフエダイ!
巨大サイズ6匹目、目の前でクリーニング中です♪
デバスズメダイの群れの中を優雅に泳ぎ回っていましたっ!
しばらく動きはストップ!
完全に見っているMさんでしたっ!
今日の見え方は、水族館も顔負けの距離感でしたね!
マンタに会うことはできましたが、
それでも十分にインパクトのあるお魚さん観察でしたっ!
例年6月、11月、3月と数回石垣島にお越しのMさんです。
今回は、水温も暖かく、穏やかな海を満喫でしたっ!
よかったよかったです!
また来てくださいね!
お待ちしております。
ではでは
台風シーズンを避けて、石垣島旅行!
冬のシュノーケリングツアー、おすすめです!
石垣島のシュノーケルツアー!10月、11月、12月はどんなコンディション?
ベストシーズンの到来です!冬、1月2月3月のシュノーケリングツアーは?
石垣島旅行、観光のお役たちブログのご紹介です。
シュノーケリングツアーのことだけでなく、旅行、観光のあれこれをまとめています。ぜひ、合わせてご覧ください。
石垣島でシュノーケルでの事前準備、豆知識に!
シュノーケリングスタイルのご紹介です
石垣島旅行、観光をする際の事前準備ブログのまとめ
石垣島の観光スポットのまとめブログです