事務所裏、防風林との境目です♪

うっそうと生い茂るバナナ、木々の隙間には、

ミゾゴイさんかくれんぼです♪いつものとぼけた顔をして歩いています♪
今日も石垣島をシュノーケリング!午前の半日コースでシュノーケルツアー、楽しんできました!
午前のコースにご参加は、O根さん♪

お一人様でご参加となりました!
お会いしてその歩く様子を見て、全然問題なさそうですね!
何を心配していたかと言うと昨日、
石垣島マラソン42km完走です!
42km走った翌日です!心配しておりましたが、O根さんは、
フルマラソン、5、6回ほど完走しております!
とおっしゃっています!特に足、痛い場所もないそうです!
無敵の体ですね!
この様子ならば海を楽しめそうです!そして石垣島を42km走ってみた感想は、
上り、下り坂が多くて大変でした!
とおっしゃっています!
どうやら都市型マラソン大会はフラットな道が多いそうです!石垣島はタフなコースとなっているみたいですね!
そしてさらに3月には名古屋ウィメンズマラソンを予定しているそうです♪今回の石垣島マラソンは良いトレーニング、刺激入れになりましたね!
さぁそれでは事務所では準備に取りかかって行きます!シュノーケルは数回経験ありのO根さんです!
ただ過去ご参加されたのはちょろっと体験程度とのことでおっしゃっています!
ならば本格的に
石垣島の水中世界
ご案内させていただきます!少し、ボートで沖合に行くだけでも水中の雰囲気は変わってくるというものです♪
さぁ事務所では器材合わせを行っていきます!今日は風が冷たいので暖かい格好をご用意です!
冬用5mmのウエットスーツ
にさらに
フード付きインナー!
暖かい格好で楽しみましょう!
準備が整えば出港です!空を見ればどんより雲が空を覆っています!ただ昨日よりは風は落ち着いて波も穏やかになりつつあります!

シュノーケリングは十分楽しめる範囲です!
そして透明度が抜群に高いクリアーな水面が広がっています♪

5分もボートを走らせればポイントに到着です!早速ドボンドボン、海に入っていきましょう!
その様子は不安の様子はありません!ただ、動きがちょっと硬い様子です。戸惑いあり!といったところでしょうか?
こんな時は、
基本動作をしっかりアドバイスです♪
そうすれば、徐々に動きが出始めてきていますね!そうそう、安全シュノーケリングの近道は基本を押さえることからです♪
それでは早速コースを進んできます!そうすると指を指していらっしゃいますね♪

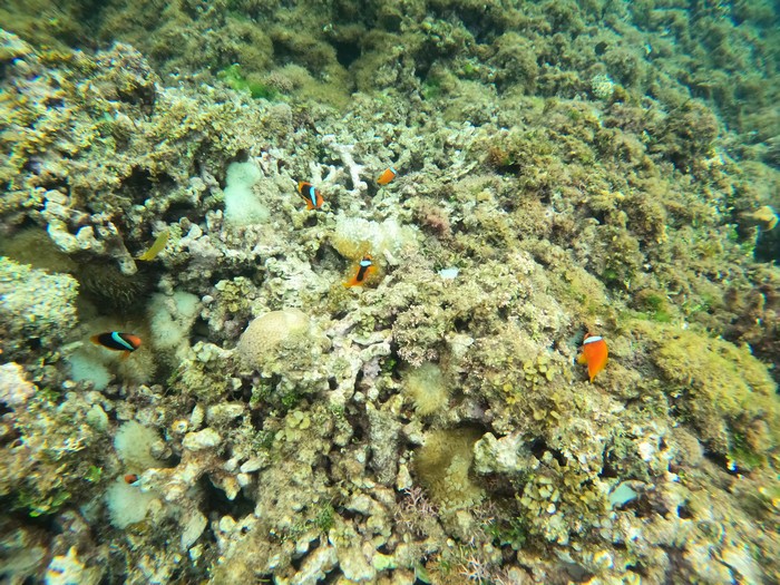
その先にはクマノミマンションです♪

今日もいつも通りハマクマノミさん、お出迎えしてくれましたね!
そしてそこからサンゴワシャワシャコース♪
目の前にはデバスズメダイがいっぱい群れていましたね!
スマホを防水ケースに入れて撮影を楽しんでいらっしゃいます♪

ただやはりマラソン後、疲労感は残っているといったところでしょうか?
今日はさらに、やや波有りコンディションです!ちょっと気持ち悪さが出ているようです!
でもご安心ください!さんご礁の海からは少人数でツアーを行っております!
特にお一人様のご参加であればスケジューリングに融通が効きますからね!
綺麗所をパパっと楽しんでボートに上がれば5分もすれば港に到着です!
そして事務所に戻りばシャワーにお着替えです♪
温かいシャワーを浴びて復活です♪
少し休憩すれば、すっきり表情です♪回復力もとても早いです♪
普段、鍛えているだけありますね!
今回の旅行はマラソンに水中世界、楽しみましたね!
次回は名古屋ウィメンズマラソン!頑張って下さい!
またのお越し、お待ちしております♪
天気 天気 曇り一時雨
最高気温 18℃
最低気温 16℃

今日の石垣島の様子は?

少しだけ晴れ間の登場!曇りの一日です。
ただ、ただ、15秒間、石垣島のどこかで撮影した今日の様子です♪(毎日更新)
さんご礁の海からのyoutubeチャンネルは二つです。
これを見れば、今日の石垣島の天気がわかる!
今日もどこかで石垣島。今日の石垣島天気。(15秒動画)
石垣島旅行応援します!海を楽しむ豆知識をシュノーケルツアーに合わせて動画にてお届けします!
さんご礁の海からyoutube